Als Wirbelsturm der Kategorie 4 zieht «Melissa» nun über den Nordwesten der Karibikinsel.
28.10.2025 - 21:47:48Hurrikan «Melissa» schwächt sich über Jamaika leicht ab. Doch die Gefahr ist keineswegs gebannt. Die Regierung rechnet mit «katastrophalen Schäden».
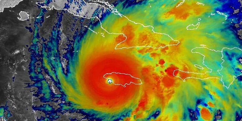
Der extrem gefährliche Hurrikan «Melissa» hat wenige Stunden nach dem Auftreffen auf Land über Jamaika leicht an Kraft verloren und ist nun ein Hurrikan der Kategorie 4. Der Wirbelsturm zog mit anhaltenden Windgeschwindigkeiten von 240 Kilometern pro Stunde über den Nordwesten der Karibikinsel, wie das Nationale Hurrikanzentrum NHC in Miami mitteilte. Zuvor war Melissa mit Windgeschwindigkeiten von 295 Kilometern pro Stunde auf die Küste von Jamaika getroffen.
Es bestehe weiterhin Lebensgefahr, warnte das NHC. Die Menschen sollten ihre Häuser nicht verlassen. Die Regierung warnte vor «katastrophalen Schäden» bei Sturmfluten, Überschwemmungen und Erdrutschen. Auf Videos in den sozialen Netzwerken war zu sehen, wie Dächer abgedeckt wurden, Bäume umstürzten und Straßen überflutet wurden.


